Ragasa trở thành siêu bão mạnh nhất thế giới năm 2025

Uncategorized
Với sức gió duy trì tới 270 km/h, Ragasa chính thức trở thành cơn bão mạnh nhất Trái Đất kể từ đầu năm nay.

Ngày 22 tháng 9 năm 2025, tạp chí Tri Thức – Znews đăng tải bài viết với tiêu đề ‘Ragasa trở thành siêu bão mạnh nhất thế giới năm 2025″. Nội dung như sau:

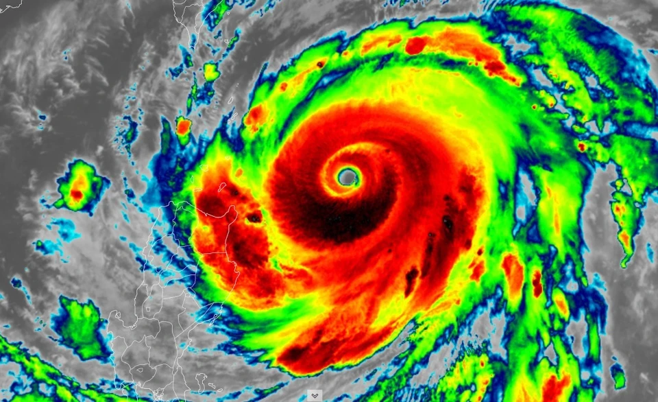
siêu bão Ragasa đã lập cột mốc mới khi duy trì sức gió tới 270 km/h trong thời gian ngắn, trở thành cơn bão mạnh nhất hành tinh tính đến năm 2025. Ảnh: Weather Network.

Ngày 21/9, sức gió mạnh nhất vùng gần tâm bão Ragasa đã lên tới 270 km/h với tâm bão nằm ở phía đông bắc Manila, Philippines.

Điều này chính thức xếp Ragasa vào cấp 5 – mức cao nhất trên thang Saffir-Simpson.

Hiện bão đang kèm theo sóng cao 11-12 m, tạo nên cảnh báo khẩn cấp cho nhiều khu vực.

Ảnh vệ tinh cho thấy mắt bão nhỏ, rõ nét với các dải mây đối xứng – đặc trưng của siêu bão cực mạnh.

Theo Weather Network, Ragasa đạt cường độ hiếm có nhờ ba yếu tố: không bị đứt gió phá vỡ cấu trúc, nhiệt độ mặt biển khoảng 30 độ C cung cấp năng lượng dồi dào, và hệ thống thoát khí hoạt động hiệu quả, khiến bão duy trì đối xứng hoàn hảo.

Các dự báo cho biết Ragasa sẽ giữ sức gió gần cực đại trong vài giờ tới trước khi suy yếu dần khi quét qua Philippines rồi tiến vào Biển Đông. Giới chức Philippines và Đài Loan (Trung Quốc) đã phát lệnh sơ tán khẩn cấp tại các khu vực có nguy cơ cao.

Chuyên gia thời tiết Philippines John Grender Almario cảnh báo phía bắc đảo Luzon có thể hứng “lũ lụt nghiêm trọng và sạt lở đất”, với tác động mạnh nhất dự kiến vào sáng 22/9. Nhiều nơi khác trên đảo cũng có thể gió mạnh, mưa lớn, song Manila được dự báo ít chịu ảnh hưởng trực tiếp.

Philippines – quốc gia nằm trên lộ trình bão Thái Bình Dương – mỗi năm trung bình hứng 20 trận bão và siêu bão, khiến hàng triệu người dân sống trong vùng rủi ro thiên tai thường xuyên đối mặt khó khăn.

Các nhà khoa học cảnh báo bão đang có xu hướng dữ dội hơn khi Trái Đất ấm lên vì biến đổi khí hậu do con người gây ra.

Cùng ngày, Đài Thiên văn Hong Kong (Trung Quốc) dự báo thời tiết tại đặc khu này sẽ “xấu dần” trong hai ngày 23-24/9 với gió bão mạnh và mực nước biển dâng cao, tương tự như tình huống của siêu bão Mangkhut năm 2018.

Nguồn: https://sohuutritue.net.vn/ragasa-tro-thanh-sieu-bao-manh-nhat-the-gioi-nam-2025-d322962.html